Services contre les nuisibles
- 1/ Lutte contre les blattes
- 2/ Contrôle des punaises de lit
- 3/ Les envahisseurs occasionnels ou saisonniers
- 4/ Lutte contre les moustiques
- 5/ Contrôle des nuisibles CFHAURCI pour les commerces
- 6/ Lutte contre les mouches
- 7/ Lutte contre les rongeurs

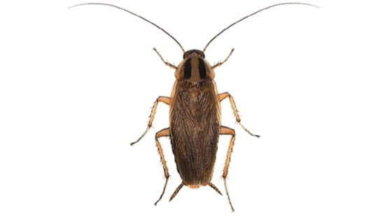
Les blattes, plus communément appelées cafards, propagent des bactéries comme E. coli ou la Salmonelle. La présence de ces nuisibles est souvent associée par les clients à des conditions d’insalubrité et peut nuire à votre réputation. Nos spécialistes contrôleront la présence de blattes pour éviter leur réapparition.
→Des méthodes de gestion des blattes efficaces :
Les blattes sont associées à un environnement sale et insalubre. Lorsque vos clients ou votre personnel aperçoivent une blatte, la nouvelle peut rapidement se propager de bouche à oreille.
CFHAURCI applique un protocole fiable pour lutter contre la présence de blattes.
Notre protocole de lutte comprend :
- Des inspections et une surveillance approfondie
- Une application résiduelle pour une éradication rapide
- Utilisation de solutions pour déloger les blattes
- Pulvérisation pour une protection longue durée
- Utilisation d’appâts ciblés pour la protection des zones sensibles.
→ Station multiple pour les blattes :
Découvrez la station multiple pour les blattes, notre système de contrôle des blattes de pointe, disponible dans le cadre de notre service contre les blattes.
→ À propos des blattes
- La blatte germanique est une espèce domestique qui a besoin de l’habitat humain intérieur pour survivre.
- Une seule paire de blattes germaniques peut produire plus de 250 000 blattes en un an.
- Les blattes sont omnivores et mangent tout ce qui peut avoir une valeur nutritive, comme le savon ou la colle, pour survivre.
- On dénombre plus de 4 000 espèces de blattes au monde, et ce chiffre augmente régulièrement. Seules une douzaine d’espèces sont considérées comme nuisibles.
- Une blatte peut survivre pendant 1 semaine sans sa tête.
→ Types de maladies : ce que les blattes peuvent véhiculer
La blatte germanique est un vecteur connu de maladies telles que :
- Salmonellose : l’intoxication alimentaire à Salmonella provoque de la diarrhée, de la fièvre et des crampes abdominales dans les 12 à 72 heures. Les symptômes sont en général bénins mais peuvent être graves, en particulier chez les personnes qui souffrent de déficiences du système immunitaire.
- Infections par staphylocoques : cette maladie gastro-intestinale se développe peu de temps après que la nourriture a été ingérée et dure généralement environ un jour. Les toxines sont résistantes à la chaleur et ne peuvent donc pas être éliminées lors de la cuisson.
- Escherichia coli (E. coli) : une bactérie qui vit normalement dans les intestins des humains et des animaux et certains types peuvent causer des maladies avec diarrhée.
- Fièvre typhoïde : cette maladie potentiellement mortelle est causée par Salmonella Typhi. Lorsqu’un aliment contaminé est consommé, la bactérie se multiplie et se répand dans la circulation sanguine.
- Gastro-entérite : inflammation de l’estomac, de l’intestin grêle et du gros intestin qui entraîne généralement des vomissements et de la diarrhée.
L’être humain peut être infecté par l’une ou l’autre de ces maladies. De plus, les excréments de blattes et autres débris associés à une infestation peuvent déclencher des allergies respiratoires et de l’asthme. Il est donc particulièrement important de connaître les signes d’une infestation de blattes.

Les infestations de punaises de lit sont de plus en plus fréquentes, même dans les hôtels haut de gamme. Les punaises de lit peuvent nuire à votre image de marque, entraîner des fermetures, provoquer des dégâts matériels et donner lieu à des plaintes clients. Éliminer les punaises de lit et prévenir de futures infestations de nuisibles constitue un véritable défi, mais CFHAURCI peut vous aider. Travaillez avec nous pour protéger vos clients, votre marque et votre chiffre d’affaires.
→ Punaises de lit – Votre image de marque en danger
Notre protocole, proactif et réactif, combinant plusieurs traitements est conçu pour éliminer les punaises de lit quelle que soit l’étape de leur vie. Il aide ainsi à réduire au maximum leur impact sur la sécurité et la satisfaction des clients et résidents.
→ Aperçu de notre service de lutte contre les punaises de lit :
1. Inspection
2. Traitement (chimique ou vapeur)
3. Ouverture de la pièce
4. Service de suivi après 72 heures
5. Service de suivi à deux semaines incluant l’inspection et le traitement
CFHAURCI inspectera et traitera les chambres infectées et toutes les chambres adjacentes conformément au protocole de service CFHAURCI. Ainsi, nous limitons les temps d’indisponibilité des chambres.
Les parasites occasionnels ou saisonniers, parfois appelés « envahisseurs occasionnels », sont des insectes qui pénètrent dans les bâtiments à certains moments de l’année. Ces insectes vivent normalement à l’extérieur et s’aventurent à l’intérieur par accident ou par instinct pour chercher de la nourriture, de l’eau ou une protection contre des conditions hostiles telles que le froid ou la chaleur. Dans la plupart des cas, ils provoquent peu ou pas de dommages, mais leur présence peut créer des nuisances auprès de vos clients et employés.

Les piqûres de moustique provoquent des démangeaisons et peuvent impacter la satisfaction de vos clients. Ils représentent également un risque croissant pour la santé publique car les moustiques peuvent transmettre des maladies telles que le virus Zika, la dengue, la fièvre jaune, le paludisme et d’autres. Collaborez avec notre service de lutte contre les moustiques pour éliminer les nuisances et les risques de piqûres.
→ Le programme de lutte contre les moustiques de CFHAURCI comprend :
- Inspection : une inspection complète afin d’identifier les zones existantes ou potentielles de reproduction et de refuge des moustiques.
- Prévention : apporter des recommandations et cibler les zones de reproduction avec des solutions éliminant les larves et interrompant leur développement.
- Protection : proposer des solutions pour contrôler la population de moustiques.
Notre approche de lutte contre les moustiques est à multiples facettes. Nous nous occupons à la fois des lieux de reproduction potentiels et des endroits où les adultes se reposent. Le processus commence avec un audit complet du site, suivi d’une formation du personnel sur les différentes étapes à respecter pour éliminer les zones de reproduction potentielles. En fonction de la problématique rencontrée, nous développerons un plan personnalisé, s’appuyant sur des méthodes de traitement adaptées et ayant un faible impact environnemental.
En vous associant à CFHAURCI, vous avez la garantie de bénéficier de solutions innovantes délivrées par des experts spécialisés dans la lutte contre les nuisibles, capables de proposer une action efficace et complète, en suivant des protocoles précis et des analyses concrètes visant à prévenir les risques associés aux nuisibles.
→ Les maladies transmises par les moustiques
Les moustiques ne sont pas qu’un simple désagrément. Ils peuvent transmettre des maladies mortelles qui mettent les clients et les employés en danger. Les maladies que les moustiques peuvent transmettre dans le monde sont les suivantes :
- Chikungunya
- Dengue
- Paludisme
- Fièvre jaune
- Virus Zika
Moustiques Culex

- Piquent généralement la nuit à l’intérieur et à l’extérieur. Ils préfèrent les hôtes aviaires, mais mordent les humains
- Transmettent des maladies, notamment le virus du Nil
- Pondent des œufs sous forme de radeaux à la surface de l’eau polluée.
Moustiques Anophèle

- Piquent à l’intérieur et à l’extérieur, du crépuscule à l’aube et préfèrent les humains et mammifères.
- Pondent des œufs qui flottent à la surface de plans d’eau naturels avec de la végétation (ex : mares, marais, marécages).
Moustiques Aedes

Piquent à l’intérieur et à l’extérieur.
Transmettent des maladies, notamment le virus Zika, le Chikungunya, la fièvre jaune et la dengue
Pondent des œufs un par un à la surface ou près de sources d’eau temporaires (p. ex., pneus usagés, pots de fleurs, piscines, citernes de toit)
Notre gestion proactive des nuisibles réduit la population de moustiques de 80 %.
Que vous soyez à la tête d’un restaurant, d’un hôtel, d’un entrepôt ou d’un autre site commercial, CFHAURCI peut vous aider à gagner votre lutte contre les nuisibles.

La mouche est souvent perçue comme un simple désagrément, elle représente en réalité un problème sérieux pour la sécurité alimentaire. Les mouches contaminent la nourriture en y déposant des agents pathogènes pouvant entraîner des maladies. Ayez une longueur d’avance pour éviter les infestations dans vos locaux et profitez d’un environnement propre, sûr et sain pour vos clients grâce au programme contre les mouches de CFHAURCI.
→ Programme de lutte contre les mouches
L’utilisation d’une approche de l’extérieur vers l’intérieur dans la lutte contre les mouches en milieu commercial peut améliorer considérablement les résultats. Cette approche comporte trois étapes principales : 1) empêcher les mouches d’entrer, 2) réduire la pression des mouches à l’extérieur de l’établissement et 3) éliminer l’activité des mouches à l’intérieur du bâtiment.
→ Biologie de la mouche et risques
Ce à quoi vous êtes confronté si votre restaurant ou votre entreprise à un problème de mouches :
- Au cours de sa vie, une mouche femelle peut pondre jusqu’à 500 œufs.
- Les environnements dont la température dépasse 21 °C, comme la cuisine d’un restaurant, engendrent une décomposition rapide de la végétation et des autres matières organiques, fournissant ainsi beaucoup de nourriture pour les mouches et les larves.
- La mouche domestique est porteuse de plus de 200 agents pathogènes différents et peut transporter plus de 1,9 million de bactéries sur son corps.
- Les mouches régurgitent et excrètent souvent sur les surfaces où elles se posent, transmettant potentiellement des agents pathogènes aux humains. Ces derniers comprennent E. coli, la fièvre typhoïde, la dysenterie, le choléra, la tuberculose et les salmonelles.
- Les mouches font preuve de persistance : elles peuvent voyager plus d’un kilomètre pour trouver des aliments et un site de reproduction adaptés.
→ Une approche efficace dans la lutte contre les mouches
Les mouches sont des nuisibles qui peuvent représenter une menace grave pour la sécurité alimentaire et votre activité. Les espèces de mouches les plus courantes dans les environnements commerciaux sont la mouche domestique, la mouche bleue (mouche à viande) et la mouche grise. Ces mouches sont aussi communément appelées « mouches d’ordures » en raison de leur habitude de se nourrir de saletés telles que les ordures et les déchets alimentaires.
Une approche de l’extérieur vers l’intérieur de la prévention des mouches se concentre sur la recherche de la cause profonde de la présence de mouches et sur la résolution des problèmes avant qu’elles n’atteignent l’intérieur d’un établissement. Cette approche exige un bon partenariat entre vous et votre prestataire dans le cadre de la lutte contre les nuisibles. Il y a trois secteurs sur lesquels il faut se concentrer dans le cadre d’une approche extérieur-intérieur :
Éliminez les possibilités d’entrée : Les portes ouvertes sont le principal moyen pour les mouches d’accéder à l’intérieur de votre bâtiment. Il est essentiel de trouver des moyens de réduire au minimum le temps d’ouverture des portes, bien qu’il n’y ait souvent pas d’autre choix. Dans les zones où la pression extérieure est élevée et où les portes sont ouvertes à maintes reprises, d’autres options telles que des vestibules, des rideaux d’air et des rideaux à lanières plastiques doivent être envisagées.
Réduire la pression des mouches à l’extérieur : Une bonne hygiène à l’extérieur de votre bâtiment est la clé pour réduire la pression des mouches. Le traitement ciblé des surfaces extérieures et l’utilisation des stations anti-mouches de CFHAURCI et des pièges à mouches jetables dans les zones où les mouches se rassemblent (comme les bennes à ordures et les poubelles) aideront à diminuer le nombre de mouches près des entrées, réduisant ainsi la pression des mouches.
Éliminer l’activité à l’intérieur. Si des mouches accèdent à l’intérieur de l’établissement, la meilleure façon de s’y prendre est de chercher à mieux réduire la pression à l’extérieur et de minimiser les possibilités d’entrée. Tuer les mouches à l’intérieur est la façon la moins efficace de s’attaquer à un problème de mouches.

La présence de rats et de souris peut constituer un signe d’insalubrité. Un seul rongeur repéré dans votre établissement peut facilement impacter votre réputation. En limitant le risque d’intrusion des rongeurs sur votre site, vous protégez votre image de marque.
→ Protégez-vous des rongeurs
Notre programme de prévention et de lutte contre les rongeurs protège vos installations contre les rats et souris. Nous vous apportons une approche complète comprenant différentes techniques, outils et systèmes permettant un contrôle de l’activité des rongeurs. Notre programme de lutte extérieur-intérieur vise à réduire l’activité des rongeurs dans les zones à haut risque et à identifier la source du problème. Cette approche repose sur l’utilisation de stations d’appâtage sécurisées à l’extérieur des bâtiments par un ceinturage et le contrôle de la situation intérieure avec le positionnement de postes de capture dans des zones stratégiques.
→ Notre approche de l’extérieur vers l’intérieur lutte efficacement contre les rongeurs
CFHAURCI vous propose une protection complète contre les rongeurs en trois phases :
1. L’extérieur
Il s’agit de la première ligne de défense : identifier et réduire la pression exercée par les rongeurs à l’extérieur constitue souvent la solution la plus efficace sur le long terme pour établir et conserver un environnement sans nuisibles.
- Abris : éliminez tous les espaces représentant un abri, comme une végétation abondante ou des déchets
- Nourriture : vérifiez que les déchets sont correctement stockés dans des conteneurs fermés hermétiquement
- Eau : éliminez les eaux stagnantes
→ Le saviez-vous ? Une souris n’a besoin que de 3g de nourriture par jour alors qu’un rat a besoin de 30g.
2. Les points d’entrée
Les points d’entrée potentiels doivent être surveillés et bouchés afin de limiter le risque d’entrée de rongeurs dans le bâtiment.
Les points d’entrée les plus fréquents sont :
- Les portes
- Les trous ou défauts dans les infrastructures
- Les espaces dans les joints de dilatation ou autour des tuyaux
- Les systèmes d’aération
- Les quais de chargement et déchargement
→ Le saviez-vous ? Les souris peuvent se faufiler dans des trous de seulement 6mm.
3. L’intérieur
La présence de rongeurs dans les installations indique un problème au niveau des deux premiers niveaux de protection ; c’est pourquoi il faut :
- Surveiller
- Capturer : réduction massive des infestations de grande ampleur au moyen de pièges
- Contrôler : contrôler la présence grâce au positionnement stratégique de pièges et d’appâts
→ Un programme complet contre les nuisibles
Le programme complet de lutte contre les nuisibles de CFHAURCI associe une approche du contrôle des nuisibles de l’extérieur vers l’intérieur avec des interventions sur site, des rapports basés sur les données recueillies, une assistance client 24 h/24 et 7 j/7 et des outils de formation du personnel pour le sensibiliser et prévenir l’apparition des nuisibles.
Lorsque vous vous associez aux experts de CFHAUCI, vous bénéficiez de solutions innovantes afin d’assurer la sécurité de vos clients et de votre personnel.
→ À propos des rongeurs
- Certains rongeurs vivent et se déplacent dans les ordures, les égouts et autres espaces insalubres. C’est pourquoi ils peuvent propager des bactéries comme la Salmonelle ou E. coli et des maladies telles que la dysenterie.
- Si vous arrivez à faire passer un crayon dans un trou, sachez qu’une souris pourra aussi se glisser dans cette ouverture d’environ 6 mm de diamètre !
- Vous êtes-vous déjà demandé pourquoi les rongeurs rongent ? C’est parce que leurs incisives croissent en permanence, donc ils doivent mastiquer et ronger ce qu’ils trouvent pour éviter que leurs dents ne poussent dans leur crâne.
- En 6 mois, deux souris peuvent manger 1,8 kg de nourriture à elles seules et contaminer 10 fois cette quantité par leur urine et leurs excréments. Elles contaminent aussi les emballages et les surfaces en contact avec la nourriture avec les crottes qu’elles produisent.
→ Les types de rongeurs communs
Souris grise Mus musculus

Petite, avec un corps mince, la souris grise mesure environ 5-7 cm, avec une queue rajoutant environ 3 à 4 cm 7-10 cm. Habituellement grise à brun clair, cette souris a de petits yeux noirs, un museau pointu et de grandes oreilles.
Rat d’égout Rattus Norvegicus

Avec un gros corps volumineux, de petits yeux et de petites oreilles, le rat d’égout (ou surmulot) est de couleur brune, avec une fourrure aux poils épais et un ventre gris-brun. Sa queue est écailleuse et plus courte que la longueur de sa tête et de son corps, soit environ 40 cm.
Rat noir Rattus Rattus

De couleur noire avec un ventre grisâtre et des yeux et oreilles proéminents, le rat noir est élancé et mince. D’environ 35 cm en moyenne, il est un peu plus petit que le rat d’égout, mais sa queue, sans poils, est plus longue que sa tête et son corps. Comme son nom anglais l’indique (roof rat, soit le rat des toits), il est plus susceptible d’être trouvé dans les parties hautes des bâtiments.
→ L’entrée des rongeurs
Les rats et les souris peuvent être des créatures rusées. Attirées par la chaleur et les odeurs, elles se faufilent par les portes ou les interstices, ou se glissent à bord des produits livrés. Une fois sur place, les rongeurs peuvent consommer la nourriture et la contaminer, et occasionner des sanctions et amendes lors des audits ou inspections.
→ Les signes de la présence de rongeurs
Apercevoir des rats ou des souris, vivants ou morts, est le signe le plus clair de la présence de rongeurs, mais il existe également d’autres signes. Il peut s’agir notamment d’excréments, de matériaux de nidification entassés, d’emballages rongés ou de traces grasses et/ou de poils le long des murs, dans les coins et autres voies empruntées fréquemment par les rongeurs. Leur présence peut également être signalée par des bruits de déplacement sur les sols ou les plafonds, voire par une odeur nauséabonde si une infestation importante s’est développée.
→ Dégâts et contamination par les rongeurs
Les rongeurs urinent et déposent des excréments au fur et à mesure qu’ils se déplacent dans l’établissement. Les bactéries et la contamination se propagent ainsi sous le matériel, derrière les murs, sur les surfaces et emballages des aliments, et même sous les aliments. Même s’ils ne consomment pas nécessairement beaucoup de nourriture, les rongeurs endommagent les emballages en rongeant le produit, ce qui introduit une contamination. Les rongeurs peuvent transmettre des maladies aux humains par manipulation directe ou par contact avec leur urine, leurs excréments ou leur salive. Ce même contact avec les aliments peut être une source de maladies d’origine alimentaire, comme la salmonellose.
